Nieuwsbericht

Verwoestende cycloon Yasi in Australië

12 januari 2011

De tropische cycloon Yasi, die het noordoosten van Australië heeft getroffen, was de meest verwoestende sinds Tracy die Darwin in 1974 trof. Volgens het Australische Bureau of Meteorology bereikte de wind snelheden van 285 km/uur en kwam Yasi enkele uren voor het oog de kust bereikte in de hoogste klasse 5 van de schaal voor cyclonen. Voor de oostkust was het de krachtigste cycloon sinds 1918. De luchtdruk daalde tot 930 hPa, een bijzonder lage waarde. In ons land wees de barometer nooit lager dan 954 hPa. Op sommige plaatsen viel 400 mm regen en dat in een gebied dat de laatste tijd al zwaar getroffen werd door overstromingen.

Nog geen week eerder leverde de vorige tropische cycloon Anthony daar lokaal al zo'n 200 tot 300 millimeter op. De verhoogde cycloonactiviteit in Australië houdt verband met La Niña, een periodiek optredende afkoeling van het zeewater langs de evenaar op de Stille Oceaan. In een La Niña-periode is de activiteit zowel aan de oostkust als aan de westkust groter dan bij een warme El Niño.

La Niña houdt de komende twee tot vier maanden nog aan, maar de kou wordt wel langzaam wat minder. Dat meldt de Wereld Meteorologische Organisatie (WMO) op basis van verschillende modelberekeningen. De huidige La Niña is met een afwijking van de zeewatertemperatuur van 1,5 graad onder normaal een van de sterkste in een eeuw. De hevige regenval met overstromingen in Australië en op de Filippijnen hangen samen met La Niña.Ook de zware regen in Zuid-Afrika en het drogere weer in Oost-Afrika, zuidwest Azië en het zuidoosten van Zuid-Amerika hangen waarschijnlijk samen met La Niña. De ernstige overstromingen in Brazilië en op Sri Lanka staan los van dit verschijnsel.

Invloed La Niña
La Niña is de tegenhanger van de warme El Niño, die eens in de 3 tot 7 jaar zorgt voor een opwarming van het zeewater in dit deel van de Oceaan. In het afgelopen najaar ontwikkelde zich een ongekend sterke La Niña die tegen het einde van het jaar nauwelijks minder werd. Mede daardoor viel er in Queensland in december zo bijzonder veel regen en is ook januari hier een zeer natte maand. Koel water in de Stille Oceaan heeft in een groot deel van de wereld invloed op het weer en drukt ook de wereldgemiddelde temperatuur iets omlaag. Een La Niña (en dat geldt ook voor een El Niño) biedt de mogelijkheid voor seizoensvoorspellingen zoals voor de komende lente. La Niña leidt in het voorjaar vaak tot koeler weer in het noorden van Zuid-Amerika en West-Canada, en warmer en droger weer in het zuidoosten van de Verenigde Staten en Texas.

Zuidelijke ligging regenzone
De extreme weersomstandigheden zijn te wijten aan een zuidelijker ligging van een regenzone die normaal gesproken in deze tijd veel regen brengt boven zee en de eilanden ten noorden van Australië. Zo'n situatie is in het verleden vaker voorgekomen. In januari 1974, februari 1954 en januari 1918 vielen hier vergelijkbare hoeveelheden regen. In twee van deze jaren vielen deze gebeurtenissen samen met La Niña. Waarnemingen bieden geen aanwijzingen dat zulke gebeurtenissen tegenwoordig vaker voorkomen dan voorheen. De gemiddelde hoeveelheid neerslag is in zuidelijk Queensland in de afgelopen honderd jaar niet veranderd. Ook klimaatmodellen voorspellen voor deze regio geen bijzondere afwijkingen door de opwarming van de aarde. Er is dus geen aanleiding om de hevige regen van 2010 in verband te brengen met het broeikaseffect. Zware neerslag komt in dit deel van Australië gemiddeld eens in de 30 tot 50 jaar voor, meestal pas in januari of februari. Het jaar 2010 was volgens het Australische Bureau of Meteorology het op twee na natste jaar in de meetgeschiedenis. Vooral in Queensland, met name in de stad Brisbane, is de ontreddering groot. Het getroffen gebied is ongeveer even groot als Frankrijk en Duitsland samen. Meer hierover in het artikel 'Zware regenval in Australië in december 2010' in het Kennis & Datacentrum.

Nat klimaat
Delen van de zuidelijke en oostelijke kust van Australië krijgen jaarlijks op 120 tot 160 dagen regen. Het binnenland en de noordwestkust tellem maar zo'n 20 regendagen (met 0,2 millimeter of meer). Het kan er enorm gieten zeker als een tropische cycloon passeert, vooral in heuvelachtige gebieden. De meeste regen valt langs de noordoostkust in een smalle strook ten zuiden van Cairns, waar vochtige lucht met zuidoostenwind tegen de hellingen wordt gestuwd. Tully krijgt jaarlijks zo'n 4252 millimeter, vijf keer de Nederlandse jaarsom.



 

Maandelijkse neerslag in het gebied 28º-28º Zuid, 145º-155º Oost (zuidelijk Queensland, rond Rockhampton) (bron: GPCC V5 dataset, t/m december 2010 aangevuld met de GPCC monitoring en first-guess analyses).
Maandelijkse neerslag in het gebied 28º-28º Zuid, 145º-155º Oost (zuidelijk Queensland, rond Rockhampton) (bron: GPCC V5 dataset, t/m december 2010 aangevuld met de GPCC monitoring en first-guess analyses).
Verwachte koers van tropische cycloon Yasi (Bron: Bureau of Meteorology )
Verwachte koers van tropische cycloon Yasi (Bron: Bureau of Meteorology )
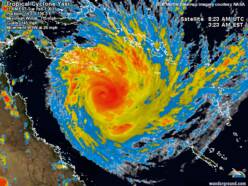
Animatie satellietbeelden tropische cycloon Yasi (Bron: Wunderground.com)
Animatie satellietbeelden tropische cycloon Yasi (Bron: Wunderground.com)

Recente nieuws- en klimaatberichten

  1. Unieke metingen bevestigen kwetsbaarheid Thwaites gletsjer

    De Thwaites gletsjer op West-Antarctica is de snelst krimpende gletsjer op Antarctica. Voor het e...

    13 februari 2026 - Klimaatbericht
  2. Minder vaak extreme kou, maar wind kan ons lichaam nog steeds ijzig raken

    Vorst in combinatie met een ijskoude wind: we hebben het allemaal wel eens ervaren. Op deze momen...

    11 februari 2026 - Klimaatbericht
  3. Wereldwijde recordwarmte 2023, 2024 en 2025: versnelde opwarming, zon, El Niño en schonere scheepvaart

    De afgelopen drie jaren waren uitzonderlijk warm. Nieuw onderzoek laat beter zien waarom deze jar...

    04 februari 2026 - Klimaatbericht
  4. Liveblog gladheid door ijzel 3-4 februari 2026

    Dinsdag en woensdag grote kans op gladheid door ijzel, vooral in het noorden.

    02 februari 2026 - Liveblog
Toon alle nieuws- en klimaatberichten