Satellietbeeld van orkaan Melissa
Orkaan Melissa

Orkaanseizoen 2025: minder orkanen, wel zwaarder

01 december 2025

Op 30 november is het Atlantische orkaanseizoen officieel tot een einde gekomen. Het was een bijzonder jaar, met minder stormen dan gemiddeld. De stormen die er waren, waren veel zwaarder dan gemiddeld. Er waren dertien tropische stormen, waarvan vijf uitgroeiden tot orkanen. Van deze vijf waren er vier zware orkanen: één Categorie-4 orkaan, en maar liefst drie Categorie-5 orkanen, met windsnelheden boven de 250 kilometer per uur. Waaronder orkaan Melissa, een van de sterkste orkanen ooit.

Een gemiddeld seizoen telt zo'n veertien stormen, waarvan zeven orkanen en drie zware orkanen. 

El Niño en het warme zeewater

Aan de start van het seizoen, op 1 juni, was de verwachting dat het gemiddeld tot net iets bovengemiddeld seizoen zou worden. Deze verwachting wordt gebaseerd op El Niño of La Niña, die voor dit seizoen niet voorzien waren. El Niño en La Niña zijn de namen die we geven aan de opwarming (El Niño) danwel afkoeling (La Niña) van het zeewater in een gebied in de tropische Stille Oceaan. Deze temperatuursveranderingen hebben invloed op het weer wereldwijd. Zo zien we bij een El Niño in de Atlantische Oceaan vaak verminderde orkaanactiviteit; bij een La Niña zien we juist meer orkaanactiviteit. Zonder beide verschijnselen spreken we van neutrale condities en daarbij hoort een gemiddeld aantal orkanen.  

Een tweede factor die erg belangrijk is voor orkaanactiviteit, is de temperatuur van het tropische zeewater. Orkanen hebben namelijk zeewater van minstens 27 graden Celsius nodig om te kunnen ontstaan en sterker te worden. Hoe warmer het zeewater is, hoe meer energie er beschikbaar is voor een orkaan om sterker te worden. In het tropische gebied van de Atlantische Oceaan is deze temperatuur tijdens het orkaanseizoen van 2025 ongeveer 0.5 tot 1 graden Celsius hoger dan gemiddeld geweest. Lokaal, zoals in de Caribische Zee, werden temperaturen tot wel 1.4 graden Celsius hoger waargenomen. Dit relatief kleine beetje extra warmte zorgt voor een enorme toename in intensiteit van de storm.  

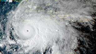
Satellietbeeld van orkaan Melissa
Satellietbeeld van orkaan Melissa op 27 oktober 2025
Satellietbeelden van orkanen Imelda en Humberto van 1 oktober 2025
Satellietbeelden van orkanen Imelda en Humberto van 1 oktober 2025 (Bron: NASA)
Overzicht van het orkaanseizoen 2025
Overzicht van het orkaanseizoen 2025 (Bron: NOAA)

Orkaan Melissa was een van de sterkste orkanen ooit

Zo speelde het extreem warme zeewater een cruciale rol bij orkaan Melissa. Deze orkaan trok eind oktober als Categorie-5 orkaan over Jamaica, en liet daarbij een spoor van vernielingen achter. Het extreem warme zeewater (van wel 30 graden Celsius) waar Melissa zich boven bevond, zorgde ervoor dat de orkaan binnen 24 uur tijd kon uitgroeien van een tropische storm met windsnelheden van 110 kilometer per uur, naar een Categorie-4 orkaan met windsnelheden van 220 kilometer per uur. In de uren erna werd de orkaan nog veel sterker, en vlak voordat ze aan land kwam in Jamaica, haalde Melissa windsnelheden tot wel 295 kilometer per uur. Observaties hebben zelfs aangetoond dat orkaan Melissa windstoten tot boven de 400 kilometer per uur bereikt heeft – nog nooit eerder werden er zulke hoge windstoten gemeten in een orkaan, een absoluut record.  

Relatief veel zware orkanen 

Melissa was niet de enige zware orkaan die we dit seizoen gezien hebben. Van de vijf orkanen, waren er vier die minstens Categorie-4 intensiteit bereikten, waarvan er drie uitgroeiden tot Categorie-5 orkanen. Alleen het orkaanseizoen van 2005 kende meer Categorie-5 orkanen, namelijk 4 in totaal. Met de kanttekening dat  er in 2005 in totaal 28 tropische stormen ontstonden en dit jaar 13.  

De drie drie Categorie-5 orkanen van 2025 kregen de namen Melissa, Erin en Humberto. Humberto bleef boven de Atlantische Oceaan en vormde geen bedreiging voor kustgebieden. Erin daarentegen heeft op haar lange tocht boven de Atlantische Oceaan wel meerdere gebieden bedreigd. Zo zorgde de storm, toen het nog een relatief zwak systeem was, voor overstromingen op de Kaapverdische Eilanden. Hierbij vielen negen doden en werd er voor ruim honderdduizend euro aan schade gemeld. Aan de andere kant van de oceaan trok Erin ten noorden van de Bovenwindse Eilanden langs. Hiervoor stonden er waarschuwingen uit op Saba en St. Eustatius, al heeft de orkaan voor weinig overlast gezorgd op deze eilanden.   

Opnieuw een opmerkelijke stilte 

Dit jaar was ook het tweede jaar op rij dat het orkaanseizoen een opmerkelijke stilte kende. Tussen 29 augustus en 16 september vormde er geen enkele tropische storm in de Atlantische Oceaan, terwijl dit normaal gesproken juist de piek van het orkaanseizoen is. Deze opmerkelijke stilte werd veroorzaakt door twee factoren.  

Ten eerste stond er veel wind op grote hoogte. Dit noemen we ook wel windschering: het verschil in windsnelheid tussen het oppervlak en op grote hoogte. Orkanen kunnen doorgaans alleen vormen in een omgeving met weinig windschering. Wanneer er meer windschering aanwezig is, zoals in deze periode tussen eind augustus en medio september, wordt een storm kapot geblazen en kan er zich dus ook geen orkaan vormen.  

Ten tweede was er veel droge lucht boven de Atlantische Oceaan in deze periode. Orkanen hebben warme, vochtige lucht nodig, en droge lucht kan dan juist een storm als het ware doen “stikken”.  

In de tweede helft van het orkaanseizoen, de periode na deze opmerkelijke stilte, vormden er binnen anderhalve maand zeven stormen, waaronder de Categorie-4 orkaan Gabrielle en Categorie-5 orkanen Humberto en Melissa. Vorig jaar, toen we tussen medio augustus en medio september ook zo’n opmerkelijke stilte hadden, zagen we zo’n zelfde zeer actief tweede deel van het orkaanseizoen. Dit seizoen liet dus wederom zien dat de stilte allesbehalve het einde van het seizoen inluidde. 

Het feit dat deze stilte nu twee keer achter elkaar voorgekomen is, is opmerkelijk. Daarbij rijst de vraag of dit toeval is of dat deze twee gebeurtenissen in een grotere trend passen, die al dan niet door klimaatverandering gevoed kan worden. Hier weten we het antwoord nog niet op; onderzoek zal moeten uitwijzen of we zulk soort opmerkelijke seizoenen vaker gaan zien in de toekomst.  

Recente nieuws- en klimaatberichten

  1. Regenbuien nu nog beter te volgen

    Radarbeelden tonen elke 5 minuten waar en hoe hard het regent in Nederland en omgeving. De kwalit...

    11 mei 2026 - Nieuwsbericht
  2. Vulkaan Tonga toont voor het eerst natuurlijke katalytische afbraak van methaan door vulkaanas in de atmosfeer

    Een internationaal onderzoeksteam onder leiding van het KNMI heeft voor het eerst overtuigend aan...

    08 mei 2026 - Klimaatbericht
  3. Zonnige en zeer droge april

    April was een zeer droge maand. Met name in het zuidwesten en midden van het land was het uitzond...

    30 april 2026 - Nieuwsbericht
  4. Hittegolven van de Middellandse zee tot aan het noordpoolgebied: het Europa van 2025 in vogelvlucht.

    Europa warmt snel op waardoor de sneeuw- en ijsbedekking afneemt. Met een hittegolf van 3 weken l...

    29 april 2026 - Klimaatbericht
Toon alle nieuws- en klimaatberichten